Tem interesse? Contate-nos!

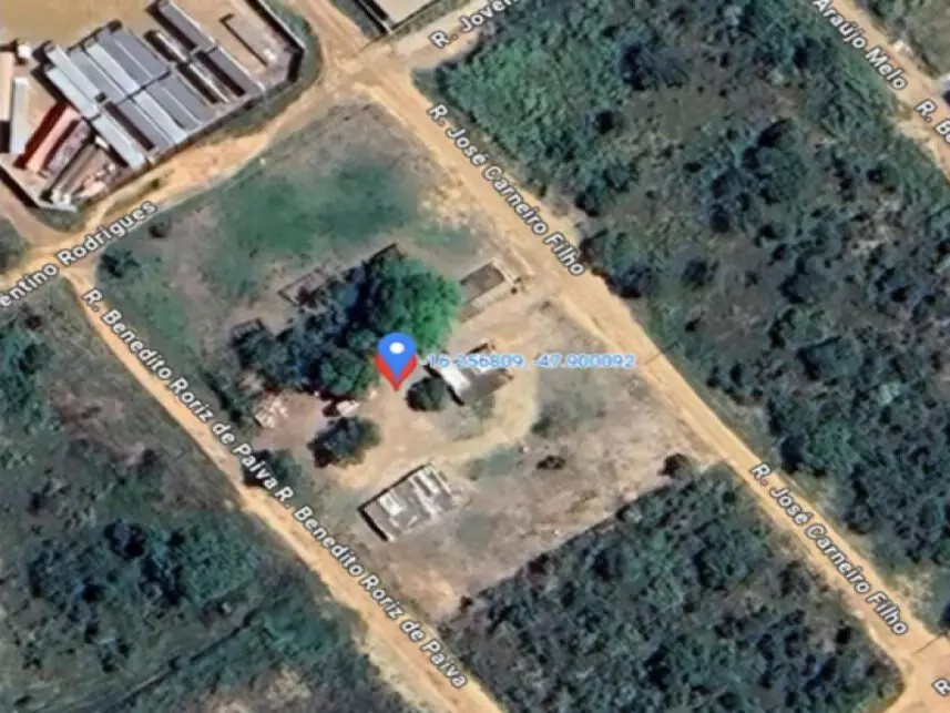
Localização

Endereço: Rua José Carneiro Filho, 03 - Quadra 235, Lote 03 - Parque Estrela Dalva Iv - Luziânia / GO

Cidade/UF: Luziânia / GO

Informações do imóvel

Área Total
1.200,00m²
Área Útil
87,48m²

Nº Matrícula

195.112 do 1º CRI - Luziânia/GO - Nº Contribuinte: 35534 | 212.140 do 1º CRI - Luziânia/GO | 195.112 do 1º CRI - Luziânia/GO - Nº Contribuinte: 35534 | 212.140 do 1º CRI - Luziânia/GO | 195.112 do 1º CRI - Luziânia/GO - Nº Contribuinte: 35534 | 212.140 do 1º CRI - Luziânia/GO | 195.112 do 1º CRI - Luziânia/GO - Nº Contribuinte: 35534 | 212.140 do 1º CRI - Luziânia/GO

Descrição

Endereço do Imóvel: Rua José Carneiro Filho, 03, Quadra 235, Lote 03, Parque Estrela DAlva IV, Luziânia, GO, 72834-040Lote, Parque Estrela DAlva IV, Ocupado, 1200.00 M² de área de terreno, 1200.00 M² de área total. Matrícula nº 195112 e 212140, Registro De Imóveis Da 1ª Circunscrição Da Comarca De Luziânia, Inscrição Prefeitura 35534. Imóvel situado em Luziânia-GO, latitude 16°1524.5, Trata-se de um Lote urbano com área de 1.200,00 m², com 87,48 m² de área construída não averbada na matrícula do imóvel, localizada em região basicamente residencial. | Imóvel situado em Luziânia-GO, latitude 16°1524.5Estas considerações estabelecem as condições aplicáveis à aquisição de imóveis com o Sicoob
(VENDEDORA), complementando as diretrizes gerais e detalhando as responsabilidades das partes envolvidas. Na ausência de contrato formal de compra e venda, estas disposições têm efeito jurídico vinculante e devem ser lidas com atenção pelo COMPRADOR antes da formalização da proposta.1. Responsabilidade pela AnáliseO COMPRADOR é exclusivamente responsável por realizar a análise jurídica, física e documental do imóvel, arcando integralmente com os custos e riscos associados a essa verificação. Todas essas condições influenciam diretamente no preço e na formalização da operação.2. Posse e OcupaçãoA posse do imóvel será concedida ao COMPRADOR somente após o registro da escritura no Cartório de Registro de Imóveis competente. Se o imóvel estiver ocupado por terceiros ou ex-mutuário
(exceto em caso de locação regular), o COMPRADOR será o único responsável pela desocupação, inclusive quanto a custas, providências, e eventuais medidas judiciais ou extrajudiciais necessárias. Nos casos em que houver locação com direito de preferência, o COMPRADOR também assumirá os riscos relacionados à locação, inclusive quanto ao cumprimento das obrigações legais aplicáveis.3. Estado do Imóvel, Regularizações e Compra *Ad Corpus*O imóvel é vendido no estado em que se encontra,sem garantia de entrega livre e desimpedida. Caberá ao COMPRADOR arcar com eventuais reformas, reparos, regularizações e averbações. Isso inclui eventuais ocupações, necessidade de reformas, pendências de regularização
(como averbação de endereço correto, alteração da titularidade do IPTU e do condomínio, averbação de área, benfeitorias e construções, e outras regularizações), bem como a responsabilidade pelo levantamento e custas de penhoras, protestos, arrestos, indisponibilidades e hipoteca. A aquisição se dá na forma *ad corpus* em todas as situações, não cabendo ao COMPRADOR alegar divergência de área como fundamento para revisão do preço ou rescisão da operação. Caso o imóvel possua vaga de garagem, o direito de uso e eventual propriedade observarão o disposto no anúncio e nos documentos da operação, competindo ao COMPRADOR verificar sua identificação na matrícula. Os encargos condominiais e tributários relacionados à vaga serão de responsabilidade do COMPRADOR, salvo disposição expressa em contrário. O COMPRADOR reconhece que novas informações sobre o imóvel ou sua documentação podem surgir durante o processo, inclusive por iniciativa da VENDEDORA, e declara-se ciente de sua responsabilidade em analisá-las, sem que isso altere as condições da proposta já aceita.4. Escritura, Registro e Pós-vendaA lavratura da escritura pública e o registro do imóvel ocorrerão após a quitação integral do preço, salvo nos casos de venda parcelada com constituição de alienação fiduciária, hipótese em que a escritura será lavrada e registrada após a assinatura do contrato, nos termos da Lei nº 9.514/97. O processo de pós-venda será conduzido pela Pagimovel ou pela VENDEDORA, conforme indicado no momento da contratação. Quando aplicável, a atuação da Pagimovel será identificada pela cobrança da Taxa de Serviço Pagimovel, podendo a escolha do Tabelião de Notas observar critérios de eficiência e segurança jurídica, conforme definição da VENDEDORA. Nos casos de imóveis oriundos de execução de alienação fiduciária, a lavratura da escritura definitiva ficará condicionada à averbação dos Leilões Públicos Negativos na matrícula do imóvel pela VENDEDORA, nos termos da Lei nº 9.514/97, podendo haver prorrogação em razão de exigências cartorárias ou documentais. Todas as despesas cartorárias, tributos, taxas, emolumentos e demais custos relacionados à formalização da operação serão de responsabilidade do COMPRADOR. Eventuais tratativas relacionadas à revisão de impostos, como ITBI, deverão ser realizadas após o registro, sem suspensão das obrigações assumidas na compra.5. Despesas e EncargosAs despesas propter rem
(como IPTU, condomínio e laudêmio) e demais encargos
(como água, energia elétrica, entre outros) são de responsabilidade exclusiva do COMPRADOR, que declara ter realizado os levantamentos necessários, e que tais valores já estão contemplados em sua proposta de compra.6. Evicção de DireitosSalvo disposição expressa em sentido contrário, a VENDEDORA responderá pela evicção de direitos, ou seja, pela perda total ou parcial do imóvel em razão de decisão judicial que reconheça direito anterior de terceiro, nos termos do art. 447 do Código Civil.7. Ações e Processos Relacionados ao ImóvelO COMPRADOR reconhece que podem existir ações judiciais, processos administrativos ou pendências relacionadas ao imóvel, seus ocupantes ou sua titularidade, que não impedem a venda ou o registro da escritura. Essas situações não geram direito à rescisão ou desconto, considerando que a venda é feita *ad corpus* e no estado em que o imóvel se encontra. Sempre que possível, a VENDEDORA poderá informar tais ações, mas a verificação completa é de responsabilidade do COMPRADOR, que assume o risco de regularizações futuras, caso necessárias.8. Comprador Ex-Mutuário, Ocupante ou Parte RelacionadaNos casos em que o COMPRADOR seja o ex-mutuário, ocupante do imóvel ou parte a ele relacionada, os valores correspondentes a débitos vinculados ao imóvel, inclusive obrigações de natureza propter rem, tais como IPTU, taxas e despesas condominiais, bem como eventuais despesas relacionadas à sua retomada, consolidação da propriedade ou regularização, quando aplicável, não estão incluídos no valor de venda do imóvel. Tais valores poderão ser apurados e acrescidos ao montante total da operação, sendo de responsabilidade do COMPRADOR, conforme o caso concreto.9. Aprovação de PropostaTodas as propostas apresentadas estão sujeitas à análise e aprovação da VENDEDORA, não produzindo efeitos até a respectiva anuência. A VENDEDORA poderá, quando aplicável, realizar verificações cadastrais, de conformidade regulatória e de prevenção à lavagem de dinheiro. A aceitação da proposta constitui prerrogativa exclusiva da VENDEDORA.10. Leilões Públicos e AverbaçõesNos casos de imóveis oriundos de leilões realizados nos termos da Lei nº 9.514/97, caberá à VENDEDORA providenciar as averbações dos Leilões Públicos Negativos e do Termo de Quitação na matrícula do imóvel, quando aplicável.11. Rescisão e PenalidadesA proposta poderá ser cancelada caso o pagamento do sinal, da entrada ou do valor integral do imóvel não seja realizado no prazo de até 48
(quarenta e oito) horas contadas da comunicação da VENDEDORA ou conforme orientação operacional expressamente informada. Após a formalização da proposta, a compra será rescindida de pleno direito nas seguintes hipóteses:
(i) inadimplemento do sinal, do preço ou de quaisquer parcelas ajustadas

(ii) não comparecimento do COMPRADOR para celebração do instrumento definitivo no prazo solicitado pela VENDEDORA

(iii) descumprimento, por ação ou omissão, de obrigação necessária à formalização da operação, inclusive envio de documentos, recolhimento de tributos, custas ou emolumentos cartorários, ou qualquer outra providência que impeça ou inviabilize a lavratura da escritura e/ou o respectivo registro. Sempre que instado pela VENDEDORA a sanar pendência ou cumprir obrigação necessária à formalização da operação, o COMPRADOR deverá fazê-lo no prazo de até 5
(cinco) dias úteis, sob pena de caracterização de inadimplemento. Em caso de rescisão por culpa do COMPRADOR, será aplicada multa correspondente a 10%
(dez por cento) do valor do imóvel, podendo ainda ser retidos os valores pagos a título de honorários da Plataforma, remuneração por intermediação e Taxa de Serviço Pagimovel, quando aplicáveis, os quais possuem natureza de remuneração por serviços efetivamente prestados e não são passíveis de devolução. Eventual saldo remanescente referente exclusivamente aos valores pagos a título de preço do imóvel, após a dedução da multa e das retenções previstas neste instrumento, será devolvido ao COMPRADOR, sem correção monetária. Caso a VENDEDORA identifique, antes da assinatura definitiva, fato que impeça ou coloque em risco a regular formalização da alienação, poderá cancelar a venda e restituir exclusivamente os valores pagos a título de preço do imóvel, observadas as retenções aplicáveis, sem correção monetária ou aplicação de penalidades. Em qualquer hipótese de devolução de valores prevista neste instrumento, esta ocorrerá independentemente de notificação judicial ou extrajudicial.12. Remuneração da Plataforma e do Canal de VendaA remuneração da Plataforma de venda e/ou do canal responsável pela intermediação da operação, incluindo, quando aplicável, a Taxa de Serviço Pagimovel, não integra o preço do imóvel e será devida pelo COMPRADOR, conforme previsto na proposta, ata de arrematação e/ou contrato de prestação de serviços firmado entre as partes, a depender da modalidade de venda realizada. O pagamento deverá ser efetuado diretamente pelo COMPRADOR à Plataforma e/ou ao canal de venda responsável, nas condições e prazos estabelecidos nos respectivos instrumentos. A inadimplência quanto aos honorários e taxas previstos neste item será considerada desistência motivada pelo COMPRADOR, sujeitando-o à retenção de valores a título de multa, quando aplicável, ou ao cancelamento da venda por sua iniciativa, com a aplicação das penalidades previstas nestas Considerações Importantes.Condições de pagamentoà vista 100% do pagamento na emissão do CCV
(Contrato de Compra e Venda) | Não há visitação.

Forma de pagamento

1) À Vista e sem desconto.

Observações

Imóvel situado em Luziânia-GO, latitude 16°1524.5Estas considerações estabelecem as condições aplicáveis à aquisição de imóveis com o Sicoob
(VENDEDORA), complementando as diretrizes gerais e detalhando as responsabilidades das partes envolvidas. Na ausência de contrato formal de compra e venda, estas disposições têm efeito jurídico vinculante e devem ser lidas com atenção pelo COMPRADOR antes da formalização da proposta.1. Responsabilidade pela AnáliseO COMPRADOR é exclusivamente responsável por realizar a análise jurídica, física e documental do imóvel, arcando integralmente com os custos e riscos associados a essa verificação. Todas essas condições influenciam diretamente no preço e na formalização da operação.2. Posse e OcupaçãoA posse do imóvel será concedida ao COMPRADOR somente após o registro da escritura no Cartório de Registro de Imóveis competente. Se o imóvel estiver ocupado por terceiros ou ex-mutuário
(exceto em caso de locação regular), o COMPRADOR será o único responsável pela desocupação, inclusive quanto a custas, providências, e eventuais medidas judiciais ou extrajudiciais necessárias. Nos casos em que houver locação com direito de preferência, o COMPRADOR também assumirá os riscos relacionados à locação, inclusive quanto ao cumprimento das obrigações legais aplicáveis.3. Estado do Imóvel, Regularizações e Compra *Ad Corpus*O imóvel é vendido no estado em que se encontra,sem garantia de entrega livre e desimpedida. Caberá ao COMPRADOR arcar com eventuais reformas, reparos, regularizações e averbações. Isso inclui eventuais ocupações, necessidade de reformas, pendências de regularização
(como averbação de endereço correto, alteração da titularidade do IPTU e do condomínio, averbação de área, benfeitorias e construções, e outras regularizações), bem como a responsabilidade pelo levantamento e custas de penhoras, protestos, arrestos, indisponibilidades e hipoteca. A aquisição se dá na forma *ad corpus* em todas as situações, não cabendo ao COMPRADOR alegar divergência de área como fundamento para revisão do preço ou rescisão da operação. Caso o imóvel possua vaga de garagem, o direito de uso e eventual propriedade observarão o disposto no anúncio e nos documentos da operação, competindo ao COMPRADOR verificar sua identificação na matrícula. Os encargos condominiais e tributários relacionados à vaga serão de responsabilidade do COMPRADOR, salvo disposição expressa em contrário. O COMPRADOR reconhece que novas informações sobre o imóvel ou sua documentação podem surgir durante o processo, inclusive por iniciativa da VENDEDORA, e declara-se ciente de sua responsabilidade em analisá-las, sem que isso altere as condições da proposta já aceita.4. Escritura, Registro e Pós-vendaA lavratura da escritura pública e o registro do imóvel ocorrerão após a quitação integral do preço, salvo nos casos de venda parcelada com constituição de alienação fiduciária, hipótese em que a escritura será lavrada e registrada após a assinatura do contrato, nos termos da Lei nº 9.514/97. O processo de pós-venda será conduzido pela Pagimovel ou pela VENDEDORA, conforme indicado no momento da contratação. Quando aplicável, a atuação da Pagimovel será identificada pela cobrança da Taxa de Serviço Pagimovel, podendo a escolha do Tabelião de Notas observar critérios de eficiência e segurança jurídica, conforme definição da VENDEDORA. Nos casos de imóveis oriundos de execução de alienação fiduciária, a lavratura da escritura definitiva ficará condicionada à averbação dos Leilões Públicos Negativos na matrícula do imóvel pela VENDEDORA, nos termos da Lei nº 9.514/97, podendo haver prorrogação em razão de exigências cartorárias ou documentais. Todas as despesas cartorárias, tributos, taxas, emolumentos e demais custos relacionados à formalização da operação serão de responsabilidade do COMPRADOR. Eventuais tratativas relacionadas à revisão de impostos, como ITBI, deverão ser realizadas após o registro, sem suspensão das obrigações assumidas na compra.5. Despesas e EncargosAs despesas propter rem
(como IPTU, condomínio e laudêmio) e demais encargos
(como água, energia elétrica, entre outros) são de responsabilidade exclusiva do COMPRADOR, que declara ter realizado os levantamentos necessários, e que tais valores já estão contemplados em sua proposta de compra.6. Evicção de DireitosSalvo disposição expressa em sentido contrário, a VENDEDORA responderá pela evicção de direitos, ou seja, pela perda total ou parcial do imóvel em razão de decisão judicial que reconheça direito anterior de terceiro, nos termos do art. 447 do Código Civil.7. Ações e Processos Relacionados ao ImóvelO COMPRADOR reconhece que podem existir ações judiciais, processos administrativos ou pendências relacionadas ao imóvel, seus ocupantes ou sua titularidade, que não impedem a venda ou o registro da escritura. Essas situações não geram direito à rescisão ou desconto, considerando que a venda é feita *ad corpus* e no estado em que o imóvel se encontra. Sempre que possível, a VENDEDORA poderá informar tais ações, mas a verificação completa é de responsabilidade do COMPRADOR, que assume o risco de regularizações futuras, caso necessárias.8. Comprador Ex-Mutuário, Ocupante ou Parte RelacionadaNos casos em que o COMPRADOR seja o ex-mutuário, ocupante do imóvel ou parte a ele relacionada, os valores correspondentes a débitos vinculados ao imóvel, inclusive obrigações de natureza propter rem, tais como IPTU, taxas e despesas condominiais, bem como eventuais despesas relacionadas à sua retomada, consolidação da propriedade ou regularização, quando aplicável, não estão incluídos no valor de venda do imóvel. Tais valores poderão ser apurados e acrescidos ao montante total da operação, sendo de responsabilidade do COMPRADOR, conforme o caso concreto.9. Aprovação de PropostaTodas as propostas apresentadas estão sujeitas à análise e aprovação da VENDEDORA, não produzindo efeitos até a respectiva anuência. A VENDEDORA poderá, quando aplicável, realizar verificações cadastrais, de conformidade regulatória e de prevenção à lavagem de dinheiro. A aceitação da proposta constitui prerrogativa exclusiva da VENDEDORA.10. Leilões Públicos e AverbaçõesNos casos de imóveis oriundos de leilões realizados nos termos da Lei nº 9.514/97, caberá à VENDEDORA providenciar as averbações dos Leilões Públicos Negativos e do Termo de Quitação na matrícula do imóvel, quando aplicável.11. Rescisão e PenalidadesA proposta poderá ser cancelada caso o pagamento do sinal, da entrada ou do valor integral do imóvel não seja realizado no prazo de até 48
(quarenta e oito) horas contadas da comunicação da VENDEDORA ou conforme orientação operacional expressamente informada. Após a formalização da proposta, a compra será rescindida de pleno direito nas seguintes hipóteses:
(i) inadimplemento do sinal, do preço ou de quaisquer parcelas ajustadas

(ii) não comparecimento do COMPRADOR para celebração do instrumento definitivo no prazo solicitado pela VENDEDORA

(iii) descumprimento, por ação ou omissão, de obrigação necessária à formalização da operação, inclusive envio de documentos, recolhimento de tributos, custas ou emolumentos cartorários, ou qualquer outra providência que impeça ou inviabilize a lavratura da escritura e/ou o respectivo registro. Sempre que instado pela VENDEDORA a sanar pendência ou cumprir obrigação necessária à formalização da operação, o COMPRADOR deverá fazê-lo no prazo de até 5
(cinco) dias úteis, sob pena de caracterização de inadimplemento. Em caso de rescisão por culpa do COMPRADOR, será aplicada multa correspondente a 10%
(dez por cento) do valor do imóvel, podendo ainda ser retidos os valores pagos a título de honorários da Plataforma, remuneração por intermediação e Taxa de Serviço Pagimovel, quando aplicáveis, os quais possuem natureza de remuneração por serviços efetivamente prestados e não são passíveis de devolução. Eventual saldo remanescente referente exclusivamente aos valores pagos a título de preço do imóvel, após a dedução da multa e das retenções previstas neste instrumento, será devolvido ao COMPRADOR, sem correção monetária. Caso a VENDEDORA identifique, antes da assinatura definitiva, fato que impeça ou coloque em risco a regular formalização da alienação, poderá cancelar a venda e restituir exclusivamente os valores pagos a título de preço do imóvel, observadas as retenções aplicáveis, sem correção monetária ou aplicação de penalidades. Em qualquer hipótese de devolução de valores prevista neste instrumento, esta ocorrerá independentemente de notificação judicial ou extrajudicial.12. Remuneração da Plataforma e do Canal de VendaA remuneração da Plataforma de venda e/ou do canal responsável pela intermediação da operação, incluindo, quando aplicável, a Taxa de Serviço Pagimovel, não integra o preço do imóvel e será devida pelo COMPRADOR, conforme previsto na proposta, ata de arrematação e/ou contrato de prestação de serviços firmado entre as partes, a depender da modalidade de venda realizada. O pagamento deverá ser efetuado diretamente pelo COMPRADOR à Plataforma e/ou ao canal de venda responsável, nas condições e prazos estabelecidos nos respectivos instrumentos. A inadimplência quanto aos honorários e taxas previstos neste item será considerada desistência motivada pelo COMPRADOR, sujeitando-o à retenção de valores a título de multa, quando aplicável, ou ao cancelamento da venda por sua iniciativa, com a aplicação das penalidades previstas nestas Considerações Importantes.Condições de pagamentoà vista 100% do pagamento na emissão do CCV
(Contrato de Compra e Venda)